松村 幸二氏 35cm、37cm、39cm、43cm、45cm5枚 サナギ&コーン3,コーン1,オキアミ1
保田 氏 35cm、35cm、40cm3枚 サナギ
加藤 氏 38cm 1枚 オキアミ
武田 氏 37cm 1枚 オキアミ
カンパチ 37cm0~1匹、サバ
晴れ、水温24度、薄濁り、北~南の風
明日(27日)の受付は締め切りにさせていただきます、宜しくお願い致します。
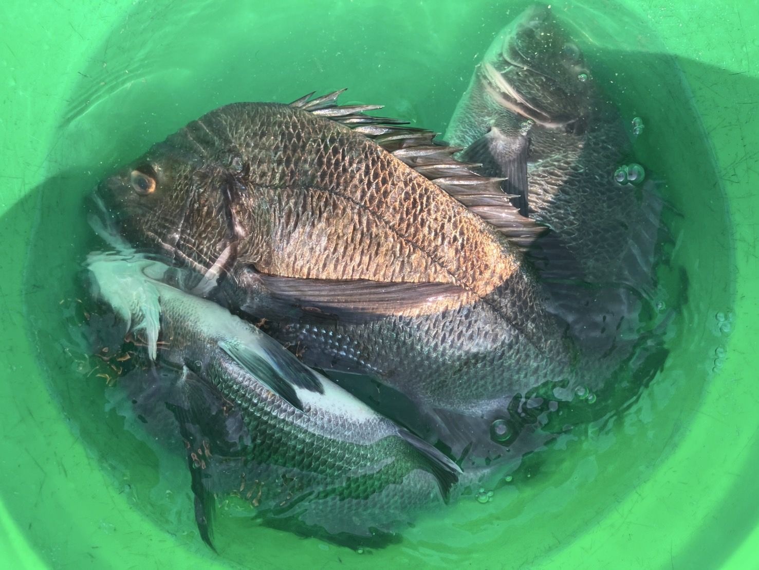
黒鯛、連日良型好調です!
青物も連日好調です!
ワカシ、カンパチ、イナダも連日好調です!
土、日、祝日にお越しの予定のお客様方は申し訳ありませんが早めのご予約をお願いします、宜しくお願い致します。
真鯛、白キス、シマダイ、マゴチ、カワハギも釣れます。







☆アオリイカは8月1日~10月20日迄禁漁となります、宜しくお願い致します。
☆お弁当屋さんの休みが毎週水曜日になりました、宜しくお願い致します。
☆お客様へタモ網の貸し出しがなくなりましたので申し訳ありませんがご自分でご用意をお願いします、宜しくお願いします。センターでも販売しております。
受付開始時間は5時です。番号の順番に受付を始めます。(連日釣りをされるお客様は優先になりますので宜しくお願い致します)
8月の大物賞は豊田 真生(女性)氏、田村 剛氏、田瀬 博志氏皆様52cmでした、おめでとうございます。
半期賞は無料筏券、月間の大物賞、数釣賞は餌を差し上げております。
☆貸竿ご希望のお客様は必ず予約をお願いします(数に限りがありますので)
☆クレジットカードが使えます。
☆駐車場が少し変わりました、事務所の整理券の下に駐車場の案内図がありますのでご覧になってください。わからない方はセンターでお聞きください、お願いします。ご予約時お車の台数をお聞きしてますので台数が変更された場合、また、人数の変更は早めにご連絡をください、お願いします。
◎お知らせです弊社所属の長井町漁業協同組合ではお客様のお車1台に対して200円の協力金(清掃費)を徴収させていただいております。ご協力のほどよろしくお願い致します。
☆新型コロナウイルス感染症拡大予防対策としてお客様にお願いします。当面、朝のお茶出し、帰りのお茶出しは停止させていただきます。また、店内での飲食もご遠慮していただきたいと思います。スタッフも予防のためマスクを着用させていただきます。お客様にもマスクの着用をお願いします。尚、手洗い後はペーパータオルを使用していただいています。店内入り口では、検温、手指消毒をお願いして、当センターでは換気、常時消毒をしております。安心してお出かけください。 お客様にご協力お願いします。磯用スパイクでの乗船、筏での使用は絶対に禁止します!筏の板に穴があいてしまいます。貸出のライフジャケットがだんだんと少なくなり困っています、センターの貸出のジャケットには番号をふらせていただいていますのでよろしくお願いします。餌を混ぜるグリーンの桶とバケツの割れが多く困っています、グリーンの桶は餌の台に使用しないでくださいお願いします。又、冷凍えさはバケツに海水を汲んで解凍してください、毎日数個廃棄していますのでご協力お願いします。また、桶、バケツは必要な分だけでお願いします。パイプの椅子を使われているお客様は筏の上では必ず飛ばないように工夫してください。どうか宜しくお願い致します。船の座り台を筏に持っていかれると次の便のお客様が座ることが出来ませんのでご自分の椅子をご用意していただきたいと思います、宜しくお願いします。


最近のコメント